Общество

В Кисловодске тестируют новые изменения в организации дорожного движения Ставрополь (Кавказ)

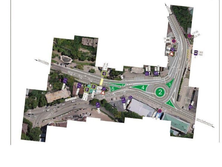
В Кисловодске тестируют новые изменения в организации дорожного движения Фото: администрация Кисловодска

В Кисловодске приступили к тестированию внесения изменений в схему организации дорожного движения на Октябрьской площади. Как рассказали в администрации курорта, основная цель мероприятий — оптимизация движения транспорта, что особенно важно для гостей города, впервые посещающих город и сталкивающихся с проблемами на этом участке.

«Мы хотим упорядочить движение на Октябрьской площади, чтобы облегчить передвижение для тех водителей, которые впервые выезжают на нашу Октябрьскую площадь и сталкиваются с трудностями, создавая аварийные ситуации. В рамках временной меры мы устанавливаем столбики и обозначаем треугольники и окружности, чтобы минимизировать нарушения правил дорожного движения. Планируем, как и в советское время, обордюрить «островки». Если эксперимент покажет положительные результаты, мы планируем изменить схему приоритетов движения, и главным будет проезд с Куйбышева на Кирова, а проезд с улицы Первомайской станет второстепенным. Если этого будет недостаточно для нормализации движения, то будем устанавливать светофоры. По итогу планируем сделать на островках безопасности красивые газоны и клумбы, а в центре круга – большой фонтан», — рассказал мэр Кисловодска Евгений Моисеев.

Ранее сообщалось, что в Кисловодске выполнены ключевые этапы подготовки строительства нового корпуса детского сада №28.

 

Источник: mk.ru

Читайте также

Выявлена новая схема мошенников – «несуществующая посылка» Ставрополь (Кавказ)

Теребил штаны, а потом начал орать: неадекват напугал людей в поликлинике Ставрополя

Жители Предгорья передали участникам СВО печи-буржуйки и бензопилы

В Изобильном дополнят фото участников ВОВ на мемориале возле «Огня Вечной Славы» Ставрополь (Кавказ)

Губернатор поручил ускорить расчёт компенсаций для жителей станицы Новотроицкой

Около 80 тыс. объектов малого и среднего предпринимательства заработало в Ставрополе

Генпрокуратура подала иск с требованием обратить в доход государства жилой дом в Кисловодске Ставрополь (Кавказ)

В Железноводске установили бронзовую плюшку с названием курорта

Ставропольский фермер: Неправильное питание приводит к гибели альпак

На Ставрополье хотят разработать комплексный план транспортного обслуживания

Марафон «Белые ночи» стартовал в Петербурге

Мэр Ставрополя поздравил горожан с 248-летием краевой столицы Ставрополь (Кавказ)

Оставить комментарий

36 ÷ = 9

* Используя эту форму, вы соглашаетесь с хранением и обработкой ваших данных этим веб-сайтом.

Новости партнеров

Этот сайт использует файлы cookies и сервисы сбора технических данных посетителей (данные об IP-адресе, местоположении и др.) ОК Подробнее